近日,吴江区、高新区、吴中区一批规划公示,具体信息如下:
吴江区
长三角一体化互联互通跨太浦河黎里大桥改造工程规划公示


工程地点:本项目位于黎里镇黎里片区
工程内容:道路全长1589m,工程内容包含道路、桥梁、排水及景观、照明、交通标志标线等附属工程。
狭港路(蚬子荡路-舜湖西路)工程规划公示


工程地点:本项目位于盛泽镇运河以东片区
工程内容:本项目狭港路从蚬子荡路至舜湖西路,长607米,宽30米,包含道路、排水、交安、路灯及附属等工程。
澜溪二路北侧支路新建工程规划公示


工程地点:本项目位于盛泽北部新城区
工程内容:本项目起于气象站西侧环绸都大道东侧辅道,终于澜溪二路,全长约1.35km;宽8米;含道路、排水、交安、照明及附属等工程。本项目由两部分组成。第一部分河道位于规划科创路北侧,河道全长1536m,河道上口宽20m,含河道开挖、新建驳岸等工程。第二部分河道位于规划溪锦路北侧(现盛泽镇庄平村工业小区内部),河道全长305m,河道上口宽20m,含河道开挖、新建驳岸、新建桥梁等工程。
吴江区双板桥路(仲英大道-鲈乡南路)改造工程批后公布

建设地点:吴江区松陵街道
建设规模:建设道路长度约634米
北付圩路新建工程规划公示


工程地点:本项目位于汾湖高新区
工程内容:包含两条道路,其中北付圩路A线路长约820米,北付圩路B线路长约440米;新建道路、桥梁、排水及路灯、交通标志标线、监控、信号灯等附属工程。
高新区
高新区(虎丘区)建设项目规划用地选址公示(迪卡侬周边道路工程)

用地面积:7825.2平方米,合11.7378亩
建设位置:迪卡侬地块北侧及西侧
高新区(虎丘区)建设项目规划用地选址公示(苏州高新区珠江路一初中周边道路工程)

用地面积:3141.5平方米,合4.7122亩
建设位置:珠江路一初中东、渔洋街南
吴中区
庄桥路改造工程

建设位置:吴中高新区
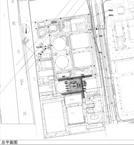
木渎新城污水厂二期进厂污水主管网和配套总泵站工程-东山大道总泵站


工程地点:东山大道以东、吴中大道以北
总用地面积:4388. 3平方米
技术指标:总建筑面积: 1987.54平方米
计容面积:1151. 44平方米
本次新建建(构)筑物:管理用房1栋提升泵池1座
化工集中区专用废水处理工程厂区改建工程


工程地点:吴中区郭巷街道尹中南路668号
技术指标:总建筑面积: 373.4平方米、计容面积: 373.4平方米。
本次新建建(构)筑物:膜格栅池、臭氧发生器车间
说明:现将化工集中区专用废水处理工程厂区改建工程
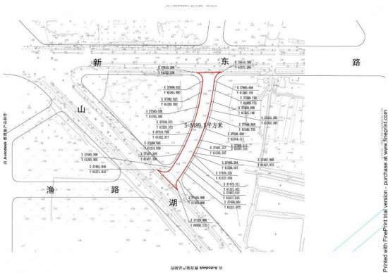
郭渔路工程

建设位置:开发区郭巷街道






公安备案号:32010202010067